Up
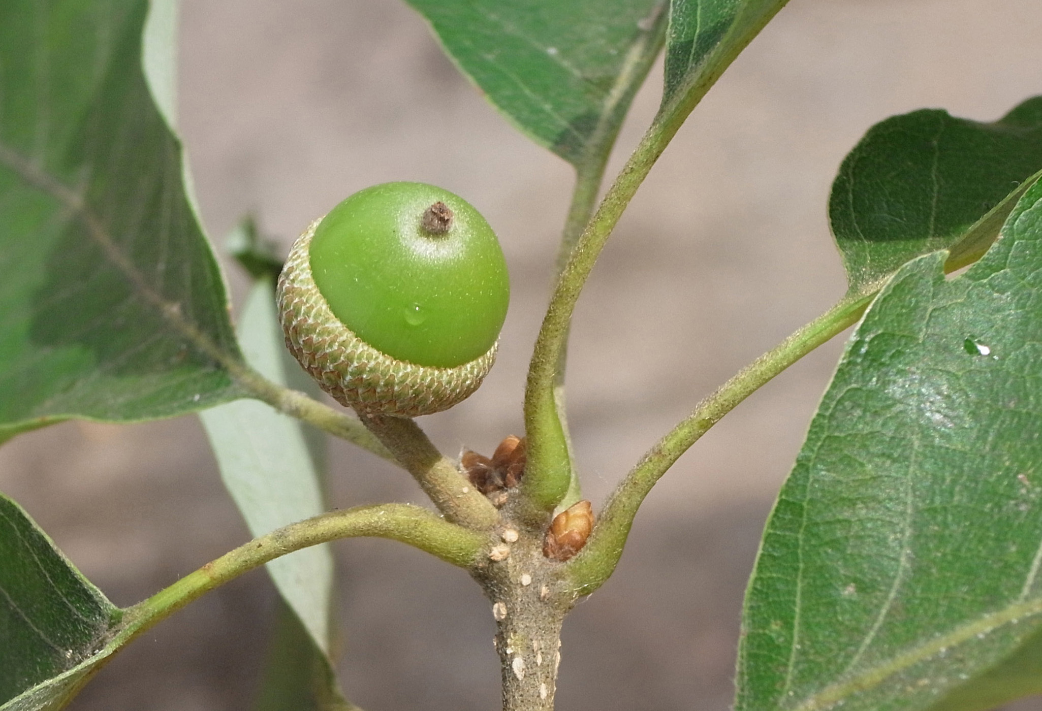
コナラ : 実
作成: 2009-09-26
更新: 2012-08-26
2012-08-26
2009-09-26